こんばんは。
DUCK DIVEの古賀です。
本日は、千葉県館山市伊戸の海に潜水。

伊戸リクエストで潜ってきましたー。
本日の編集動画です。
↓
回遊魚もですが。
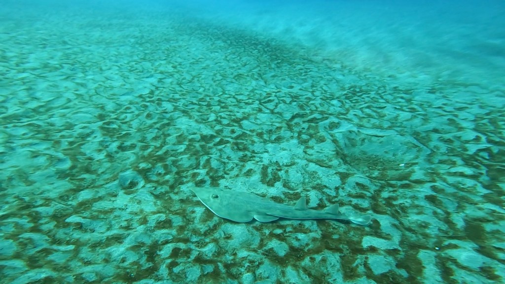
個人的には、ツバクロエイ・サカタザメ・カスザメが出て紹介できてよかったです。
大当たりでした!!
沖前根・東ブイ 2本潜水
水温17度。透明度20m。
まずは、砂地でちょろっと出てたのでもしや。。。
と砂をはらったら出てくれました。

ツバクロエイ。
大型サイズでした!!
そこから移動していくと。

サカタザメも観察できて。
その前には、カスザメも観察できたりと今回は個体数も見れました。
イサキ魚影もすごくて。
他では、キンメモドキが水底よりで塊。
中層では、マアジが群れててそれにワラサが突っ込んだりしてました。
キンメモドキ近くでは、

カンパチぐるんぐるん。
奥に行くと

テングダイが2本目になると増えてきました。
シャークスクランブルでは、

サメパラダイスは、まだまだ健在です。
そんなところで写真を撮ったりとサメ以外も大物や群れを中心に観察してもらいました。
今日の写真は、

ちえさん、さとうさん。
お二人ともワイド好きということで伊戸リクエストをいただきました。
ドチザメが有名なポイントですが。それよりも他の生物もすごいんです。
それを少しでも紹介できたかな。
時期で生物層も変化するのでそれもまた面白いです。
本日もDUCK DIVEのご利用ありがとうございました。
お知らせ
全国旅行支援・千葉県体験観光割引キャンペーン
お得なキャンペーン実施中・DUCK DIVE 対象店舗


千葉県体験観光割引キャンペーンのバナー画像をクリックするとクーポン取得ページにつながります。じゃらん予約から割引がございます。
この期間終了までに是非ご利用くださいね。
ご不明な点はあればお問い合わせください。

ドライスーツ・キャンペーン
ドライスーツ・レンタル無料キャンペーン【2月末まで】
ご予約の際にデータをお知らせください【スーツの数に限りが御座います】
この冬にドライスーツを使い潜ってみたいダイバーさん応援します。
初めての方・ブランクの方と安心してご使用出来るよう。
潜る前から陸でドライスーツの脱着・バルブの給排気などから使用方法をご説明。
使用方法が分かると快適に潜れます。この冬の水中世界を見てもらいたいです。
ドライスーツこちらを参考に↓

館山エリア・ダイビング
1月20日(金)・伊戸
ご都合が合う方は、この機会に館山の海も一緒に楽しみましょう。
お1人様から計画立てていきますのでお問い合わせください。
千葉各地の海。ポイント1つずつ特色があって知らない方にもっと知ってもらいたいです。
ご予約・お問い合わせはこちら

DUCK DIVE
DIVING SHOP
〒299-5102
千葉県夷隅郡御宿町久保1348-14
TEL 090-2453-1846
MAIL duckdive.tk@gmail.com
電話受付 8:00~21:00
海出ていて電話に出れない場合があります。
その際はメール・ラインからご連絡ください。
2日間返事が無い場合はお電話ください。

千葉県勝浦市の海を拠点に。
千葉・各地の海を専門にスキューバダイビングでご案内しております。
DUCK DIVE【ダックダイブ】DIVING SHOP
千葉・勝浦・館山・ダイビング