こんにちは。
DUCKDIVEの古賀です。
本日は、勝浦鵜原で2チームで動いていきました。
とむちーむ。

FUNDIVEコース。2ボート潜水。
かすみちーむ。
集合写真撮ってないです。
ライセンス取得コース。
志村ビーチ2本。ベンテン2本。
水温22度。透明度5~8m。
FUNDIVEコースは、群れリクエストだったのでワイドよりでのコース。


ブイ下からタカベの大群に終始巻かれます。
タカベ以外にも。


ネンブツダイな成魚から幼魚のサイズが沢山群れていて。


キンギョハナダイ、イワシなどの群れも入りいろんな種類の魚影が集まってきてます。
棚沿いや水底ラインでは、

ヒゲダイのペアを観察。写真は単体で撮影。

ヒラメは、ゴロゴロ擬態してる個体が見つかります。


地形やカジメ群生なども良い絵に。
回遊魚などの大型サイズは、

マダイ。
他にもヒラマサ、カンパチなど入ってきました。
いろんな角度から泳いでくるので根待ちスタイルでも楽しめちゃいます。


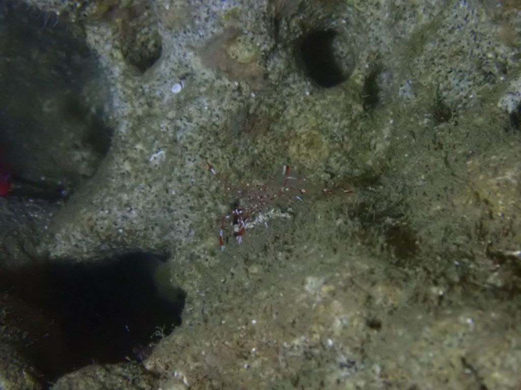
マクロは、サザナミヤッコ幼魚、クリアクリーナーシュリンプなどを観察。

イシダイが甲殻類を補食する姿など。
賑やかなベンテンでした。
ライセンス取得チームは、海洋トレーニング。
初日と比べると緊張もほぐれて良い感じに仕上がってます。どんどん海慣れしてます。
浮力コントロールを意識してる姿もまた良い感じでした。
潜り終わってからは、残った学科をやり無事終了です。アドバンスコースも頑張りましょうね。
DUCKDIVEのご利用ありがとうございました。
