こんにちは。
DUCKDIVEの古賀です。

本日は、AOWコース。
ビーチでのんびり潜ってきました。
気温が暖かくなったからか他の講習予約も入ってきてます。
新しいことに挑戦する方も全力サポートしていきます。
志村ビーチ。
水温14度。透明度5-8m。
昨日までのうねりもだいぶおさまりました。
最初は、フォトコースからスタートです。
陸から説明してから水中に。
初めてのカメラでもピント合わせから角度のお話など。


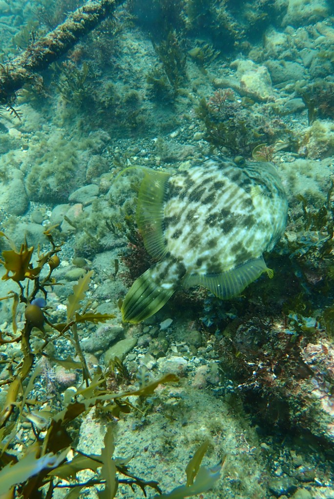
イシガキフグやマダイ。


カワハギ、ハコフグ。
動きがある魚は、ハードル高いけどしっかりピント合わせから良い感じに撮影してもらいました。


小さい生物は、背景や距離感など気にしてもらい。生物に警戒心を出させないよう寄り方も上手で何度もカメラしてるんじゃないかなと思うぐらいでした。
魚の見分け方では、生物の名前以外にも環境や場所、深度、習性などなど生物観察してもらい魚がそこにいる理由などを知ってもらい自分でも探せる力が身につくと探す楽しみが出来ます。
後半では、浅場で生物を紹介する前に自分で見つけてましたね。


講習中は、フレンドリーなマダイがついてきてくれて応援してくれました。

講習お疲れ様でした。
また楽しみながら一つ一つ覚えていきましょ。
DUCKDIVEのご利用ありがとうございました。
――――――――――――――
お知らせ
――――――――――――――
GWのご予定はいかがですか。
ガラガラなので計画立てている方はご予約ください。
――――――――――――――
臨時休業のお知らせ
平素より当店をご利用いただき、誠にありがとうございます。
誠に勝手ながら、遠征ツアー開催のため下記期間の営業(ファンダイブ・各種講習)を休止させていただきます。
2026.5.15(金)〜5.18(月))
期間中にご利用をご検討中のお客様にはご不便をおかけいたしますが、別日程でのご予約をいただけますと幸いです。
何卒よろしくお願い申し上げます。
――――――――――――――
ナイトダイビング
次回は、7月4日(土)開催
――――――――――――――
平日、週末どちらもお一人様からリクエスト予約可能となります。
新規の方もお気軽にご相談ください。
